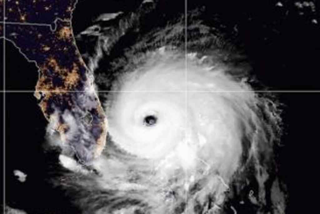
MIAMI.- El sur de Florida empezó este martes a volver a la normalidad al confirmarse que no está en la mira del huracán Dorian, que se aleja ya de las devastadas islas Bahamas y avanza lentamente hacia el noroeste con vientos de categoría 2.
Los últimos boletines del Centro Nacional de Huracanes han producido alivio a los habitantes del sureste de la península floridana, la zona más poblada del estado, y han llevado a retirar la mayoría de las medidas preventivas que han estado vigentes durante el fin de semana largo del Día del Trabajo (lunes).
Sin embargo, todavía preocupan a los de la zona central de Florida, que sentirá los efectos de Dorian cuando a partir de esta noche empiece a desplazarse cerca de la costa, así como a los residentes en el litoral de Georgia y las dos Carolinas, que se encuentran también en estado de emergencia.
Dorian ha perdido gran parte de la fuerza con la que se ensañó con las Bahamas, pero sigue siendo peligroso, como recuerda en todos sus avisos el Centro Nacional de Huracanes.
En Miami, que ha vivido a medio gas todo el fin de semana, el tráfico matinal era hoy más fluido de lo normal, pese a que la actividad se reanudó en las oficinas privadas y negocios.
Las escuelas públicas reabrirán mañana, al igual que la mayoría de las privadas, las universidades y oficinas del estado en el sur de Florida.
El aeropuerto internacional de Miami ha permanecido activo en todo momento, mientras que el otro más importante de la zona, el de Fort Lauderdale, tiene previsto reanudar sus operaciones este martes, después de haber permanecido cerrado 24 horas como medida preventiva por Dorian.
El aeropuerto de West Palm Beach continúa sin operaciones hasta nuevo aviso. Un mensaje colgado en su página web indica que está trabajando “diligentemente” con vistas a reanudar los vuelos comerciales tan pronto como sea posible.
De las 1.734 cancelaciones de vuelos con salida o llegada de EE.UU. contabilizadas por la página especializada FlightAware hasta cerca de las 12.00 horas (16.00 GMT), la mayoría estaba relacionada con Dorian.
Del total de vuelos cancelados, 361 corresponden al aeropuerto internacional de Orlando (centro de Florida), que permanece sin operaciones comerciales.
Los puertos Everglades, en Fort Lauderdale, y Miami están inoperativos desde el domingo por decisión de la Guardia Costera.
En el caso del primero un aviso en su web indica que los cruceros que iban a llegar el domingo y el lunes tienen previsto su arribo para el miércoles 4 de septiembre.
“Nos hemos salvado”, dijo a Efe Marina, una de las cajeras de un supermercado en la zona del aeropuerto de Miami.
Ese sentimiento prevalece entre los miamenses junto con el pesar por lo sucedido en Bahamas, donde la destrucción es masiva, según informaciones de prensa.
El alcalde del condado Miami-Dade, Carlos Giménez, anunció una rápida ayuda para “nuestros vecinos los bahameños” y diversas instituciones públicas y privadas iniciaron ya la recogida de alimentos no perecederos, agua embotellada, medicamentos, artículos de aseo, pilas y linternas y otros materiales, así como de donaciones en metálico.
En el histórico barrio de Coconut Grove, donde reside la mayor comunidad de bahameños en Miami, está uno de los centros de acopio, en una iglesia episcopaliana.
El pastor Jonathan Archer dijo a un canal local que como bahameño sabe por experiencia propia lo que son las tormentas y huracanes, aunque Dorian ha sido destructor como ninguno y exhortó a la gente a contribuir con “cualquier cosa que pueda ser útil” para sus compatriotas.






