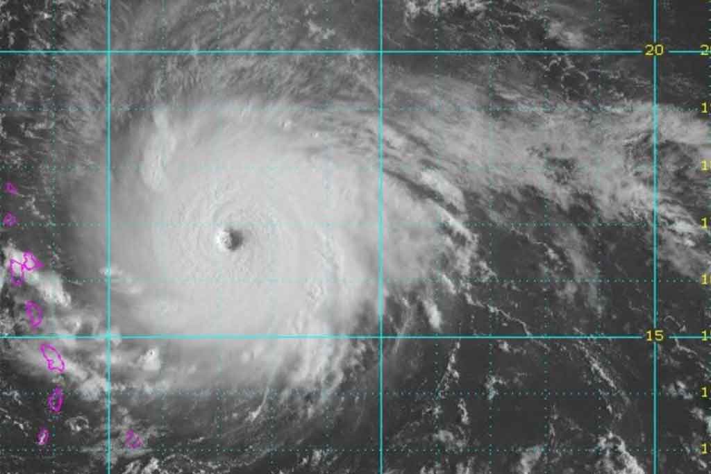
REDACCIÓN INTERNACIONAL.- Un supertifón en el océano Pacífico, a 300 millas al oeste de Guam, se convirtió en el sistema tropical más fuerte que jamás haya existido en el mes de febrero, en el hemisferio norte del mundo, desde que se tiene récord.
Wutip alcanzó vientos sostenidos de 160 mph hoy, el equivalente a un huracán categoría cinco. Ahora sus vientos bajaron a 150 mph.
Según explica el meteorólogo Jeff Masters de Weather Underground, la NOAA tiene en sus archivos solo siete tifones que han alcanzado las categorías cuatro y cinco entre los meses de enero y febrero en el Pacífico noroccidental.
Solo el tifón Ophelia de 1958 alcanzó las 160 mph el 13 de enero. El tifón anterior más fuerte registrado en febrero fue el supertifón Higos, que alcanzó vientos de 150 mph el 10 de febrero de 2015.






